Features

Latest Features news and updates from Fiji and the Pacific.

Latest Features

18,502 articles
Feature

Schools directed to open

Schools in the Central, Western and Northern division have been directed to open for classes today. Education Minister Filipe Bole said only those schools affected by hurricane Tomas will be allowed to remain closed. Th

1 min read
Feature

State of disaster declared for North/East

A state of disaster has been declared for the Northern and Eastern Division. The decision was made after preliminary reports showed that the Northern Division has received extensive damages and close to 50 homes were d

1 min read
Feature

Curfew extended to 6am tomorrow

The curfew for the Central and Eastern division has now been extended to 6 o’clock tomorrow morning. Permanent Secretary for Information Lt Colonel Neumi Leweni has confirmed this decision just minutes ago. Lt

1 min read
Feature

Curfew extended till further notice

A curfew is still imposed for residents in the Central, Eastern and Northern division. Permanent Secretary for Information Lt Colonel Neumi Leweni said people's movements are restricted in these areas and they shou

1 min read
Feature

Hurricane warning remains in place

A hurricane warning remains in force for Eastern quarter of Vanua Levu, Rabi, Kioa, Taveuni, Qamea, Laucala, Naitauba, Yacata, Kanacea, Mago, Cicia, Batiki, Matuku, Totoya and nearby smaller islands. A storm warning is

1 min read
Feature

Hurricane warning remains in place

A hurricane warning remains in force for Eastern quarter of Vanua Levu, Rabi, Kioa, Taveuni, Qamea, Laucala, Naitauba, Yacata, Kanacea, Mago, Cicia, Batiki, Matuku, Totoya and nearby smaller islands. A storm warning is

1 min read
Feature

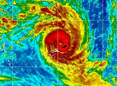
Hurricane Tomas nears Udu Point

People in the Northern division continue to feel very strong winds and continuous heavy rain, which are now the direct effects of Hurricane Tomas. This situation is expected to remain for the Northern division for a nu

1 min read
Feature

North feels full brunt of Tomas

People in the Northern division are now feeling very strong winds and continuous heavy rain, which are now the direct effects of Hurricane Tomas. Nadi Weather Office Director, Rajendra Prasad said the full brunt of Hurr

1 min read
Feature

North feeling direct effects of Hurricane Tomas

People in the Northern division are now feeling strong winds and heavy rain, which are now the direct effects of Hurricane Tomas. Nadi Weather Office Director, Rajendra Prasad said the full brunt of Hurricane Tomas has

1 min read
Feature

North feeling direct effects of Tomas

People in the Northern division are now feeling strong winds and heavy rain, which are now the direct effects of Hurricane Tomas. Nadi Weather Office Director Rajendra Prasad said the full brunt of Hurricane Tomas is b

1 min read
Feature

Hurricane warning remains in force

A hurricane warning remains in force for the Eastern half of Vanua Levu, Cikobia, Taveuni, Rabi, Kioa, Yacata, Koro, Vanua Balavu, Gau, Batiki, Nairai, Wakaya, Makogai, Cicia, Lakeba, Kabara, Moala and nearby smaller isl

1 min read
Feature

Nationawide curfew lifted for now

The nationwide curfew has just been lifted by the government. However, it is expected to be imposed again when the need arises. This has just been confirmed by Permanent Secretary for Information Lt Colonel Neumi Lewen

1 min read
Feature

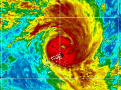
Hurricane Tomas intensifies overnight

Hurricane Tomas has intensified overnight and is now close to a category four cyclone. Nadi Weather Office Director Rajendra Prasad confirmed this saying a hurricane warning is now in force for Cikobia, Eastern Half of

1 min read
Feature

Curfew in place for Fiji group

The Police have from this hour put in place a curfew for the whole of Fiji group, and it will stay in place indefinitely. Police Spokesperson Inspector Atunaisa Sokomuri said this has been done to ensure that people ref

1 min read
Feature

Hurricane Tomas picks up speed

The whole of the Fiji Group is now on a Tropical Cyclone Warning as Hurricane Tomas has now picked up speed. Nadi Weather Office Director said Tomas has now been upgraded to Category three which means that it now has h

1 min read
Feature

Whole of Fiji Group now on a Tropical Cyclone Warning

The whole of the Fiji Group is now on a Tropical Cyclone Warning as Hurricane Tomas has now picked up speed. Nadi Weather Office Director said Tomas has now been upgraded to Category three which means that it now has hu

1 min read
Feature

Tropical Cyclone Tomas now picks up speed

The Whole of the Fiji Group is now on a Tropical Cyclone Warning as Tropical Cyclone Tomas now picked up speed. Nadi weather Office Director said that Tropical Cyclone Tomas has now been upgraded to Category three which

1 min read
Feature

Tropical cyclone warning now in force for North

A Tropical cyclone Warning is now in force for the Northern Division and the Northern Lau group while the rest of the Fiji group, a cyclone Alert is in force. Nadi Weather Office Director, Rajendra Prasad said that the

1 min read
Feature

Tropical Cyclone moves closer to Fiji Group

A Tropical Cyclone Alert remains in force for the whole of the Fiji Group. The Tropical Cyclone Tomas was located 410 kilometres North North East of Udu Point at three o'clock this morning. Close to its centre the

1 min read
Feature

Tropical Cyclone Tomas heading straight towards Fiji Group

Tropical Cyclone Tomas has now heading Southwest and his heading straight towards the Fiji group and is expected to start affecting the country from late tomorrow or early Monday morning. Nadi Weather Office Director Ra

1 min read